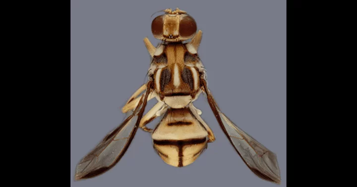
What is Tau fruit fly? Los Angeles neighborhood faces first-ever produce quarantine due to invasive pests native to Asia
What is Tau fruit fly? Los Angeles neighborhood faces first-ever produce quarantine due to invasive pests native to Asia
Who is Tanya Chutkan? Judge in Donald Trump’s Jan 6 riots case was appointed by Barack Obama and once repped Theranos
Who is Tanya Chutkan? Judge in Donald Trump’s Jan 6 riots case was appointed by Barack Obama and once repped Theranos
Who are BaboAbe and Natsumi? Ludwig and Pokimane extend support to streamers amid separation
Who are BaboAbe and Natsumi? Ludwig and Pokimane extend support to streamers amid separation
'Love Is Blind' alum Nick Thompson at risk of homelessness, slams 'exploitative' Netflix for paying '$7 an hour'
'Love Is Blind' alum Nick Thompson at risk of homelessness, slams 'exploitative' Netflix for paying '$7 an hour'
Did Jake Paul really get married to Tana Mongeau in 2019? ‘I've made it very apparent’
Did Jake Paul really get married to Tana Mongeau in 2019? ‘I've made it very apparent’
Who is Jennifer Hudson dating? 'Dream Girls' star opens up about romance rumors, calls rapper Common 'beautiful man'
Who is Jennifer Hudson dating? 'Dream Girls' star opens up about romance rumors, calls rapper Common 'beautiful man'
Who was O'Shae Sibley? Beyonce mourns fan who was stabbed to death in possible hate crime
Who was O'Shae Sibley? Beyonce mourns fan who was stabbed to death in possible hate crime
Where is Jamie Lee Komoroski now? Judge denies bond to drunk driver accused of killing bride and injuring groom on wedding day
Where is Jamie Lee Komoroski now? Judge denies bond to drunk driver accused of killing bride and injuring groom on wedding day
Was Jean Tatlock murdered? 'Oppenheimer' fans draw attention to ‘disturbing’ detail in Florence Pugh's death scene
Was Jean Tatlock murdered? 'Oppenheimer' fans draw attention to ‘disturbing’ detail in Florence Pugh's death scene
Who was Lawrence Roberts? 'GMA' host Robin Roberts' World War II Air Force veteran father inspired her career in journalism
Who was Lawrence Roberts? 'GMA' host Robin Roberts' World War II Air Force veteran father inspired her career in journalism
Who is the Happy Face Killer? Serial murderer’s daughter vows to help Gilgo Beach suspect Rex Heuermann’s wife ‘start a new life’
Who is the Happy Face Killer? Serial murderer’s daughter vows to help Gilgo Beach suspect Rex Heuermann’s wife ‘start a new life’
Paige Spiranac's no-makeup look post-workout goes viral, TikTok star asks 'grumpy' fans to 're-center, take a deep breath'
Paige Spiranac's no-makeup look post-workout goes viral, TikTok star asks 'grumpy' fans to 're-center, take a deep breath'
«197819791980»